
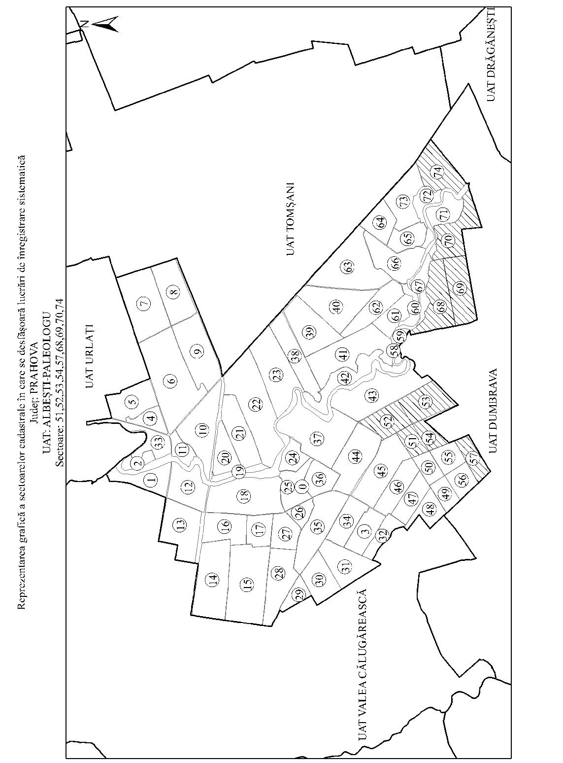
Având în vedere prevederile art. 11 alin. (1) din Legea cadastrului şi a publicităţii imobiliare nr. 7/1996, republicată, cu modificările şi completările ulterioare, şi ale art. 15 alin. (3) din Regulamentul de organizare şi funcţionare a Agenţiei Naţionale de Cadastru şi Publicitate Imobiliară, aprobat prin Hotărârea Guvernului nr. 1.288/2012, cu modificările şi completările ulterioare,în temeiul art. 3 alin. (13) din Legea cadastrului şi a publicităţii imobiliare nr. 7/1996, republicată, cu modificările şi completările ulterioare,directorul general al Agenţiei Naţionale de Cadastru şi Publicitate Imobiliară emite prezentul ordin. Articolul 1Se aprobă începerea lucrărilor de înregistrare sistematică a imobilelor, pe sectoare cadastrale, situate pe teritoriul a 10 unităţi administrativ-teritoriale din judeţul Prahova, după cum urmează: a)unitatea administrativ-teritorială Albeşti-Paleologu - sectoarele cadastrale nr. 51, 52, 53, 54, 57, 68, 69, 70 şi 74; b)unitatea administrativ-teritorială Bălţeşti - sectoarele cadastrale nr. 13, 19, 23, 24, 25, 29, 33, 34 şi 35; c)unitatea administrativ-teritorială Blejoi - sectoarele cadastrale nr. 4, 5, 8, 22, 23 şi 32; d)unitatea administrativ-teritorială Ceptura - sectoarele cadastrale nr. 3, 5, 13, 43, 53, 58, 65, 66, 72, 73, 75, 76, 80, 81, 82, 83, 85, 95, 96, 100, 103 şi 105; e)unitatea administrativ-teritorială Colceag - sectoarele cadastrale nr. 7, 8, 9, 10, 25, 39 şi 49; f)unitatea administrativ-teritorială Fântânele - sectoarele cadastrale nr. 12, 13, 14, 16, 17, 18, 19, 20, 21, 28, 32, 33, 34 şi 35; g)unitatea administrativ-teritorială Gura Vitioarei - sectoarele cadastrale nr. 46, 47, 53 şi 54; h)unitatea administrativ-teritorială Mizil - sectoarele cadastrale nr. 6, 36, 62, 63, 64, 65, 66, 67 şi 68; i)unitatea administrativ-teritorială Sălciile - sectoarele cadastrale nr. 7, 8, 12, 16, 17, 18, 37 şi 38; j)unitatea administrativ-teritorială Tomşani - sectoarele cadastrale nr. 19, 26, 28 şi 32. Articolul 2Reprezentarea grafică a sectoarelor cadastrale în care se desfăşoară lucrările de înregistrare sistematică a imobilelor este prevăzută în anexele nr. 1-10 la prezentul ordin. Articolul 3Anexele nr. 1-10*) fac parte integrantă din prezentul ordin.*) Anexele nr. 1-10 sunt reproduse în facsimil. Articolul 4 Prezentul ordin se publică în Monitorul Oficial al României, Partea I. Directorul general al Agenţiei Naţionale de Cadastru şi Publicitate Imobiliară,Radu Codruţ Ştefănescu ANEXA Nr. 1
ANEXA Nr. 2
ANEXA Nr. 3
ANEXA Nr. 4
ANEXA Nr. 5
ANEXA Nr. 6
ANEXA Nr. 7
ANEXA Nr. 8
ANEXA Nr. 9
ANEXA Nr. 10