Anunţă-mă când se modifică Fişă act Comentarii (0) Trimite unui prieten Tipareste act

Ordinul Nr.1425 din 06.11.2017

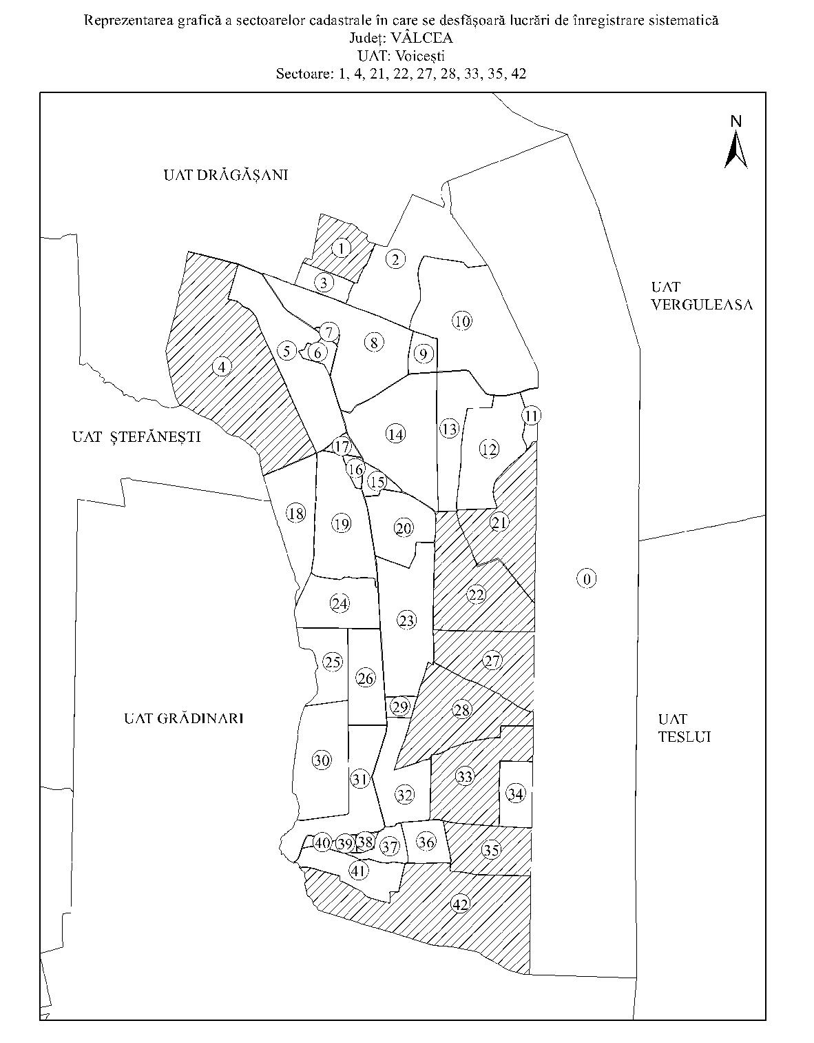
privind aprobarea începerii lucrărilor de înregistrare sistematică a imobilelor, pe sectoare cadastrale, în 5 unităţi administrativ-teritoriale din judeţul Vâlcea
ACT EMIS DE: Agentia Nationala de Cadastru Si Publicitate Imobiliara
ACT PUBLICAT ÎN MONITORUL OFICIAL NR. 930 din 27 noiembrie 2017



SmartCity1

Având în vedere prevederile art. 11 alin. (1) din Legea cadastrului şi a publicităţii imobiliare nr. 7/1996, republicată, cu modificările şi completările ulterioare, şi ale art. 15 alin. (3) din Regulamentul de organizare şi funcţionare a Agenţiei Naţionale de Cadastru şi Publicitate Imobiliară, aprobat prin Hotărârea Guvernului nr. 1.288/2012, cu modificările şi completările ulterioare,în temeiul art. 3 alin. (13) din Legea cadastrului şi a publicităţii imobiliare nr. 7/1996, republicată, cu modificările şi completările ulterioare,directorul general al Agenţiei Naţionale de Cadastru şi Publicitate Imobiliară emite prezentul ordin. Articolul 1Se aprobă începerea lucrărilor de înregistrare sistematică a imobilelor, pe sectoare cadastrale, situate pe teritoriul a 5 unităţi administrativ-teritoriale din judeţul Vâlcea, după cum urmează: a)unitatea administrativ-teritorială Guşoeni - sectoarele cadastrale nr. 22 şi 68; b)unitatea administrativ-teritorială Ştefăneşti - sectoarele cadastrale nr. 18, 34 şi 35; c)unitatea administrativ-teritorială Tetoiu - sectoarele cadastrale nr. 82 şi 100; d)unitatea administrativ-teritorială Voiceşti - sectoarele cadastrale nr. 1, 4, 21, 22, 27, 28, 33, 35 şi 42; e)unitatea administrativ-teritorială Zătreni - sectoarele cadastrale nr. 1, 38, 41 şi 43. Articolul 2Reprezentarea grafică a sectoarelor cadastrale în care se desfăşoară lucrările de înregistrare sistematică a imobilelor este prevăzută în anexele nr. 1-5 la prezentul ordin. Articolul 3Anexele nr. 1-5*) fac parte integrantă din prezentul ordin. *) Anexele nr. 1-5 sunt reproduse în facsimil. Articolul 4 Prezentul ordin se publică în Monitorul Oficial al României, Partea I.Directorul general al Agenţiei Naţionale de Cadastru şi Publicitate Imobiliară,Radu Codruţ ŞtefănescuANEXA Nr. 1 ANEXA Nr. 2 ANEXA Nr. 3 ANEXA Nr. 4 ANEXA Nr. 5



SmartCity5

COMENTARII la Ordinul 1425/2017

Momentan nu exista niciun comentariu la Ordinul 1425 din 2017
Comentarii la alte acte
ANONIM a comentat Decizia 220 2018
    Buongiorno E-mail: giovannidinatale1954@­gmail.­com Offerte individuali in denaro da 2.000 a 5.200.000, con un tasso di interesse è rimborsabile del 3% in un periodo compreso tra 2 e 30 anni. Condizioni ragionevoli se la mia offerta ti interessa contattami di più rapidamente per discutere le modalità e documenti da fornire. giovannidinatale1954@­gmail.­com
ANONIM a comentat Decizia 220 2018
    Buongiorno E-mail: giovannidinatale1954@­gmail.­com Offerte individuali in denaro da 2.000 a 5.200.000, con un tasso di interesse è rimborsabile del 3% in un periodo compreso tra 2 e 30 anni. Condizioni ragionevoli se la mia offerta ti interessa contattami di più rapidamente per discutere le modalità e documenti da fornire. giovannidinatale1954@­gmail.­com
ANONIM a comentat Decretul 358 1948
    What type of loan do you need? Personal loan Car loan Refinancing Mortgage Business capital (start or expand your business) Have you lost hope and think that there is no way out, but your financial problems are still not gone? Do not hesitate to contact us for possible business cooperation. Contact us (WhatsApp) number +918131851434 contact email id : sumitihomelend@gmail.com Mr. Damian Sumiti
ANONIM a comentat Decretul 139 2005
    HIRE A GENUINE HACKER TO RECOVER YOUR LOST FUNDS Hello everyone, The Cryptocurrency world is very volatile and a lot of individuals have lost their crypto assets to online scams . I was also a victim. Last October I was contacted by a broker who convinced me to invest in Crypto. I made an initial investment of € 875,000. I followed their instructions. For TWO months now I have been trying to contact them all day, but I got no response. God is so kind. I followed a broadcast that teaches on how these recovery experts called THE HACK ANGELS RECOVERY EXPERT. Help individuals recover their lost funds back. I contacted the email provided for consultation, to help me recover my funds. I contacted them. These cryptocurrency recovery experts saved my life by helping me recover all my losses in just nine hours. I provided necessary requirements and relative information to complete the successful recovery of my crypto funds. I was filled with joy asI got my everything back. I really can't tell how happy I am. I said I will not hold this to myself but share it to the public so that all scammed victims can get their funds back, you can contact them today through their hotline at: WhatsApp +1(520)200-2320) (support@thehackangels.com). (www.thehackangels.com) If you're in London, you can even visit them in person at their office located at 45-46 Red Lion Street, London WC1R 4PF, UK. They’re super helpful and really know their stuff! Don’t hesitate to reach out if you need help.
ANONIM a comentat Decretul 139 2005
    HIRE A GENUINE HACKER TO RECOVER YOUR LOST FUNDS Hello everyone, The Cryptocurrency world is very volatile and a lot of individuals have lost their crypto assets to online scams . I was also a victim. Last October I was contacted by a broker who convinced me to invest in Crypto. I made an initial investment of € 875,000. I followed their instructions. For TWO months now I have been trying to contact them all day, but I got no response. God is so kind. I followed a broadcast that teaches on how these recovery experts called THE HACK ANGELS RECOVERY EXPERT. Help individuals recover their lost funds back. I contacted the email provided for consultation, to help me recover my funds. I contacted them. These cryptocurrency recovery experts saved my life by helping me recover all my losses in just nine hours. I provided necessary requirements and relative information to complete the successful recovery of my crypto funds. I was filled with joy asI got my everything back. I really can't tell how happy I am. I said I will not hold this to myself but share it to the public so that all scammed victims can get their funds back, you can contact them today through their hotline at: WhatsApp +1(520)200-2320) (support@thehackangels.com). (www.thehackangels.com) If you're in London, you can even visit them in person at their office located at 45-46 Red Lion Street, London WC1R 4PF, UK. They’re super helpful and really know their stuff! Don’t hesitate to reach out if you need help.
ANONIM a comentat Decretul 139 2005
    HIRE A GENUINE HACKER TO RECOVER YOUR LOST FUNDS Hello everyone, The Cryptocurrency world is very volatile and a lot of individuals have lost their crypto assets to online scams . I was also a victim. Last October I was contacted by a broker who convinced me to invest in Crypto. I made an initial investment of € 875,000. I followed their instructions. For TWO months now I have been trying to contact them all day, but I got no response. God is so kind. I followed a broadcast that teaches on how these recovery experts called THE HACK ANGELS RECOVERY EXPERT. Help individuals recover their lost funds back. I contacted the email provided for consultation, to help me recover my funds. I contacted them. These cryptocurrency recovery experts saved my life by helping me recover all my losses in just nine hours. I provided necessary requirements and relative information to complete the successful recovery of my crypto funds. I was filled with joy asI got my everything back. I really can't tell how happy I am. I said I will not hold this to myself but share it to the public so that all scammed victims can get their funds back, you can contact them today through their hotline at: WhatsApp +1(520)200-2320) (support@thehackangels.com). (www.thehackangels.com) If you're in London, you can even visit them in person at their office located at 45-46 Red Lion Street, London WC1R 4PF, UK. They’re super helpful and really know their stuff! Don’t hesitate to reach out if you need help.
ANONIM a comentat Raport 1937 2021
    Obțineți creditul în 24 de ore În calitate de client al LOPEZ GROUP FINANZAS, vă recomand pentru toate nevoile dumneavoastră de finanțare la cota de 2%. Pentru cei dintre voi care au nevoie de un împrumut, nu ezitați să o contactați ca mine și veți fi mulțumiți: lopezfinanzas95@gmail.com
ANONIM a comentat Raport 1937 2021
    Obțineți creditul în 24 de ore În calitate de client al LOPEZ GROUP FINANZAS, vă recomand pentru toate nevoile dumneavoastră de finanțare la cota de 2%. Pentru cei dintre voi care au nevoie de un împrumut, nu ezitați să o contactați ca mine și veți fi mulțumiți: lopezfinanzas95@gmail.com
ANONIM a comentat Raport 1937 2021
    Obțineți creditul în 24 de ore În calitate de client al LOPEZ GROUP FINANZAS, vă recomand pentru toate nevoile dumneavoastră de finanțare la cota de 2%. Pentru cei dintre voi care au nevoie de un împrumut, nu ezitați să o contactați ca mine și veți fi mulțumiți: lopezfinanzas95@gmail.com
ANONIM a comentat Raport 1937 2021
    Obțineți creditul în 24 de ore În calitate de client al LOPEZ GROUP FINANZAS, vă recomand pentru toate nevoile dumneavoastră de finanțare la cota de 2%. Pentru cei dintre voi care au nevoie de un împrumut, nu ezitați să o contactați ca mine și veți fi mulțumiți: lopezfinanzas95@gmail.com
Alte acte pe aceeaşi temă cu Ordin 1425/2017
Coduri postale Prefixe si Coduri postale din Romania Magazin si service calculatoare Sibiu