
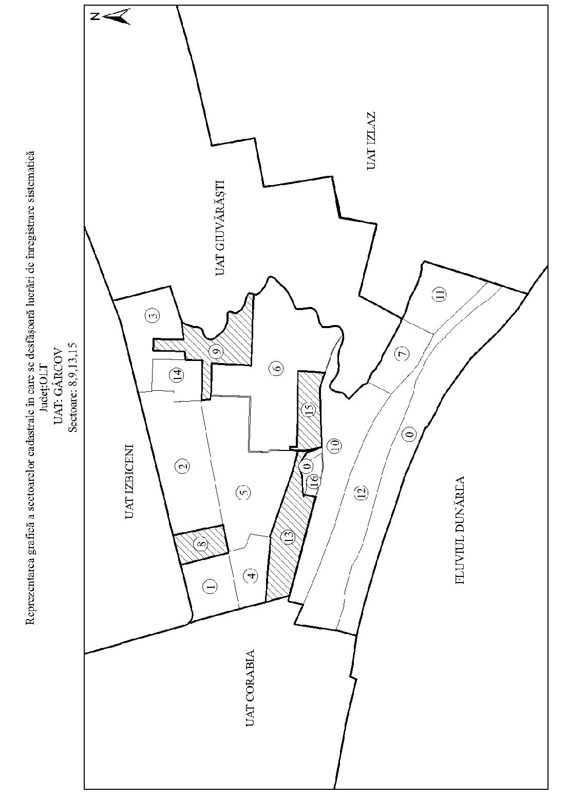
Având în vedere prevederile art. 11 alin. (1) din Legea cadastrului şi a publicităţii imobiliare nr. 7/1996, republicată, cu modificările şi completările ulterioare, şi ale art. 15 alin. (3) din Regulamentul de organizare şi funcţionare a Agenţiei Naţionale de Cadastru şi Publicitate Imobiliară, aprobat prin Hotărârea Guvernului nr. 1.288/2012, cu modificările şi completările ulterioare, în temeiul art. 3 alin. (13) din Legea cadastrului şi a publicităţii imobiliare nr. 7/1996, republicată, cu modificările şi completările ulterioare, directorul general al Agenţiei Naţionale de Cadastru şi Publicitate Imobiliară emite prezentul ordin. Articolul 1 Se aprobă începerea lucrărilor de înregistrare sistematică a imobilelor, pe sectoare cadastrale, situate pe teritoriul a 41 de unităţi administrativ-teritoriale din judeţul Olt, după cum urmează: a)unitatea administrativ-teritorială Balş - sectoarele cadastrale nr. 6, 7, 8, 9 şi 13; b)unitatea administrativ-teritorială Baldovineşti - sectoarele cadastrale nr. 1, 3, 4, 5, 6 şi 8; c)unitatea administrativ-teritorială Brâncoveni - sectoarele cadastrale nr. 2, 8, 9, 10, 11, 14 şi 15; d)unitatea administrativ-teritorială Bobiceşti - sectoarele cadastrale nr. 1, 4, 5, 6, 7, 9, 11 şi 12; e)unitatea administrativ-teritorială Cârlogani - sectoarele cadastrale nr. 6, 7, 8, 12, 13 şi 14; f)unitatea administrativ-teritorială Crâmpoia - sectoarele cadastrale nr. 1, 3, 4 şi 6; g)unitatea administrativ-teritorială Cungrea - sectoarele cadastrale nr. 4, 7, 8, 9, 16 şi 17; h)unitatea administrativ-teritorială Corabia - sectoarele cadastrale nr. 4, 8, 9, 10, 13, 16 şi 17; i)unitatea administrativ-teritorială Gârcov - sectoarele cadastrale nr. 8, 9, 13 şi 15; j)unitatea administrativ-teritorială Grădinile - sectoarele cadastrale nr. 10, 11, 12, 13, 14, 15, 16, 17, 18, 19, 20, 21 şi 22; k)unitatea administrativ-teritorială Grojdibodu - sectoarele cadastrale nr. 5 şi 6; l)unitatea administrativ-teritorială Gostavăţu - sectoarele cadastrale nr. 4, 6, 8, 9 şi 10; m)unitatea administrativ-teritorială Ianca - sectoarele cadastrale nr. 7, 9, 10, 15 şi 16; n)unitatea administrativ-teritorială Ipoteşti - sectoarele cadastrale nr. 1, 2, 3, 4, 5, 6, 7, 8, 9, 10, 11, 12 şi 13; o)unitatea administrativ-teritorială Izbiceni - sectoarele cadastrale nr. 4 şi 8; p)unitatea administrativ-teritorială Leleasca - sectoarele cadastrale nr. 1, 2, 3, 4, 5, 6, 7, 8 şi 9; q)unitatea administrativ-teritorială Mărunţei - sectoarele cadastrale nr. 3, 4, 6, 7 şi 13; r)unitatea administrativ-teritorială Morunglav - sectoarele cadastrale nr. 9, 16, 17, 19, 20 şi 24; s)unitatea administrativ-teritorială Oporelu - sectoarele cadastrale nr. 5 şi 7; ş)unitatea administrativ-teritorială Orlea - sectorul cadastral nr. 1; t)unitatea administrativ-teritorială Osica de Sus - sectoarele cadastrale nr. 1, 2, 4, 5, 10 şi 11; ţ)unitatea administrativ-teritorială Perieţi - sectoarele cadastrale nr. 1, 2, 3, 4, 5, 7, 8, 9, 10 şi 11; u)unitatea administrativ-teritorială Piatra-Olt - sectoarele cadastrale nr. 1, 3, 5, 6, 11 şi 19; v)unitatea administrativ-teritorială Poboru - sectoarele cadastrale nr. 4, 7, 10, 11, 13, 14 şi 16; w)unitatea administrativ-teritorială Pleşoiu - sectoarele cadastrale nr. 1, 21, 22, 29, 31, 32 şi 33; x)unitatea administrativ-teritorială Redea - sectoarele cadastrale nr. 4, 5, 6 şi 7; y)unitatea administrativ-teritorială Scărişoara - sectoarele cadastrale nr. 5, 8, 9, 10 şi 11; z)unitatea administrativ-teritorială Slatina - sectoarele cadastrale nr. 1, 2, 3, 4, 5, 6, 7, 8, 15, 16, 18, 19, 20, 21, 22, 25, 26, 27, 28, 29, 30 şi 31;aa) unitatea administrativ-teritorială Spineni - sectoarele cadastrale nr. 5, 6, 7, 8 şi 9; bb) unitatea administrativ-teritorială Sprâncenata - sectoarele cadastrale nr. 6, 7, 8 şi 9; cc) unitatea administrativ-teritorială Strejeşti- sectoarele cadastrale nr. 3, 4, 5, 6, 7, 9 şi 17; dd) unitatea administrativ-teritorială Studina - sectoarele cadastrale nr. 6, 7, 9, 10, 11, 12, 13, 14 şi 16; ee) unitatea administrativ-teritorială Şopârliţa - sectoarele cadastrale nr. 1, 2 şi 6; ff) unitatea administrativ-teritorială Ştefan cel Mare - sectoarele cadastrale nr. 5, 6, 12, 15, 16 şi 17; gg) unitatea administrativ-teritorială Şerbăneşti- sectoarele cadastrale nr. 1, 3, 4 şi 5; hh) unitatea administrativ-teritorială Tătuleşti - sectoarele cadastrale nr. 1, 2, 4, 5, 6 şi 7; ii) unitatea administrativ-teritorială Tia Mare - sectoarele cadastrale nr. 6, 10 şi 11; jj) unitatea administrativ-teritorială Urzica - sectoarele cadastrale nr. 8, 9, 10, 11 şi 12; kk) unitatea administrativ-teritorială Văleni - sectoarele cadastrale nr. 2, 3, 4, 5, 8, 18 şi 20; ll) unitatea administrativ-teritorială Vitomireşti - sectoarele cadastrale nr. 3, 4, 5, 6, 7, 8 şi 9; mm) unitatea administrativ-teritorială Voineasa - sectoarele cadastrale nr. 2, 3, 4, 11 şi 13. Articolul 2 Reprezentarea grafică a sectoarelor cadastrale în care se desfăşoară lucrările de înregistrare sistematică a imobilelor este prevăzută în anexele nr. 1-41 la prezentul ordin. Articolul 3 Anexele nr. 1-41*) fac parte integrantă din prezentul ordin. *) Anexele nr. 1-41 sunt reproduse în facsimil. Articolul 4 Prezentul ordin se publică în Monitorul Oficial al României, Partea I. p. Directorul general al Agenţiei Naţionale de Cadastru şi Publicitate Imobiliară, Ileana Spiroiu ANEXA Nr. 1
ANEXA Nr. 2
ANEXA Nr. 3
ANEXA Nr. 4
ANEXA Nr. 5
ANEXA Nr. 6
ANEXA Nr. 7
ANEXA Nr. 8
ANEXA Nr. 9
ANEXA Nr. 10
ANEXA Nr. 11
ANEXA Nr. 12
ANEXA Nr. 13
ANEXA Nr. 14
ANEXA Nr. 15
ANEXA Nr. 16
ANEXA Nr. 17
ANEXA Nr. 18
ANEXA Nr. 19
ANEXA Nr. 20
ANEXA Nr. 21
ANEXA Nr. 22
ANEXA Nr. 23
ANEXA Nr. 24
ANEXA Nr. 25
ANEXA Nr. 26
ANEXA Nr. 27
ANEXA Nr. 28
ANEXA Nr. 29
ANEXA Nr. 30
ANEXA Nr. 31
ANEXA Nr. 32
ANEXA Nr. 33
ANEXA Nr. 34
ANEXA Nr. 35
ANEXA Nr. 36
ANEXA Nr. 37
ANEXA Nr. 38
ANEXA Nr. 39
ANEXA Nr. 40
ANEXA Nr. 41