
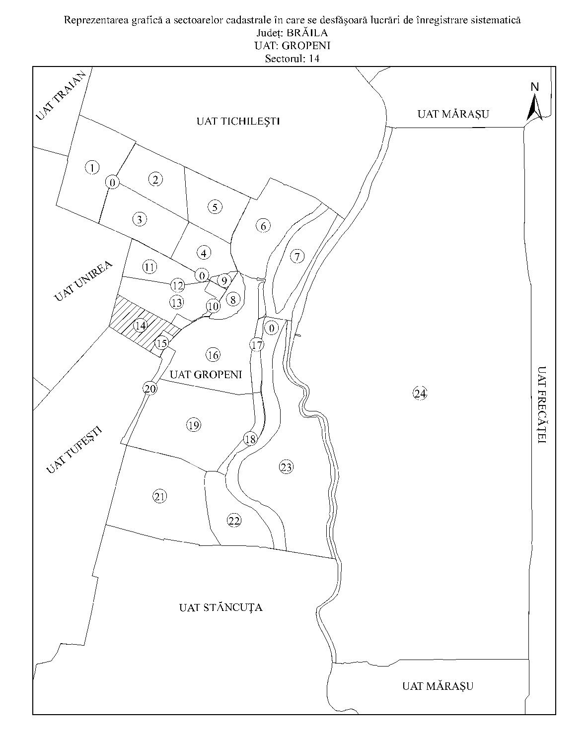
Având în vedere prevederile art. 11 alin. (1) din Legea cadastrului şi a publicităţii imobiliare nr. 7/1996, republicată, cu modificările şi completările ulterioare, şi ale art. 15 alin. (3) din Regulamentul de organizare şi funcţionare a Agenţiei Naţionale de Cadastru şi Publicitate Imobiliară, aprobat prin Hotărârea Guvernului nr. 1.288/2012, cu modificările şi completările ulterioare,în temeiul art. 3 alin. (13) din Legea cadastrului şi a publicităţii imobiliare nr. 7/1996, republicată, cu modificările şi completările ulterioare,directorul general al Agenţiei Naţionale de Cadastru şi Publicitate Imobiliară emite prezentul ordin. Articolul 1Se aprobă începerea lucrărilor de înregistrare sistematică a imobilelor, pe sectoare cadastrale, situate pe teritoriul a 22 de unităţi administrativ-teritoriale din judeţul Brăila, după cum urmează: a)unitatea administrativ-teritorială Bordei Verde - sectoarele cadastrale nr. 3, 4, 17, 18, 19 şi 20; b)unitatea administrativ-teritorială Chişcani - sectoarele cadastrale nr. 23, 26, 27, 29, 32, 33, 34, 35, 37 şi 38; c)unitatea administrativ-teritorială Dudeşti - sectoarele cadastrale nr. 2, 5, 7 şi 11; d)unitatea administrativ-teritorială Făurei - sectoarele cadastrale nr. 1, 2, 3, 4, 5, 6, 7, 8, 9, 10, 11 şi 15; e)unitatea administrativ-teritorială Galbenu - sectoarele cadastrale nr. 1, 2 şi 4; f)unitatea administrativ-teritorială Gradiştea - sectoarele cadastrale nr. 1, 2 şi 18; g)unitatea administrativ-teritorială Gropeni - sectorul cadastral nr. 14; h)unitatea administrativ-teritorială Ianca - sectoarele cadastrale nr. 30, 33, 35 şi 38; i)unitatea administrativ-teritorială Însurăţei - sectoarele cadastrale nr. 20, 43, 46 şi 47; j)unitatea administrativ-teritorială Jirlău - sectoarele cadastrale nr. 1, 2, 3, 5, 7, 10, 13, 14, 15, 19, 22, 23 şi 25; k)unitatea administrativ-teritorială Mircea Vodă - sectoarele cadastrale nr. 10 şi 22; l)unitatea administrativ-teritorială Racoviţa - sectoarele cadastrale nr. 2, 3, 4 şi 19; m)unitatea administrativ-teritorială Râmnicelu - sectoarele cadastrale nr. 1, 3, 4, 5 şi 29; n)unitatea administrativ-teritorială Roşiori - sectoarele cadastrale nr. 8 şi 18; o)unitatea administrativ-teritorială Scorţaru Nou - sectoarele cadastrale nr. 3, 11, 17, 22, 23, 24 şi 25; p)unitatea administrativ-teritorială Surdila-Găiseanca - sectoarele cadastrale nr. 5, 6, 10 şi 12; q)unitatea administrativ-teritorială Surdila-Greci - sectoarele cadastrale nr. 17, 18, 19, 21, 22 şi 45; r)unitatea administrativ-teritorială Şuţeşti - sectoarele cadastrale nr. 5, 6 şi 19; s)unitatea administrativ-teritorială Tichileşti - sectoarele cadastrale nr. 3, 4, 5, 10 şi 13; t)unitatea administrativ-teritorială Unirea - sectoarele cadastrale nr. 11, 14, 15, 16, 17, 18 şi 19; u)unitatea administrativ-teritorială Vişani - sectorul cadastral nr. 21; v)unitatea administrativ-teritorială Zăvoaia - sectoarele cadastrale nr. 11, 12, 13, 14 şi 15. Articolul 2Reprezentarea grafică a sectoarelor cadastrale în care se desfăşoară lucrările de înregistrare sistematică a imobilelor este prevăzută în anexele nr. 1-22 la prezentul ordin. Articolul 3Anexele nr. 1-22*) fac parte integrantă din prezentul ordin. *) Anexele nr. 1-22 sunt reproduse în facsimil. Articolul 4Prezentul ordin se publică în Monitorul Oficial al României, Partea I. p. Directorul general al Agenţiei Naţionale de Cadastru şi Publicitate Imobiliară, Vasile Marcel Grigore ANEXA Nr. 1
ANEXA Nr. 2
ANEXA Nr. 3
ANEXA Nr. 4
ANEXA Nr. 5
ANEXA Nr. 6
ANEXA Nr. 7
ANEXA Nr. 8
ANEXA Nr. 9
ANEXA Nr. 10
ANEXA Nr. 11
ANEXA Nr. 12
ANEXA Nr. 13
ANEXA Nr. 14
ANEXA Nr. 15
ANEXA Nr. 16
ANEXA Nr. 17
ANEXA Nr. 18
ANEXA Nr. 19
ANEXA Nr. 20
ANEXA Nr. 21
ANEXA Nr. 22